Skip To Content

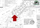
Lot 33 Maude Boyle Drive

North Pole, AK 99705
  • $95,000
  • STATUS: Active
  • MLS #: 158083
UPDATED: 15 min ago
$95,000
  • 0
    BEDS
  • 0.92
    ACRES
  • 0
    BATHS
  • 0
    1/2 BATHS
Neighborhood:
Type:
Vacant Land / Lots

School Information

Elementary School:
Middle School:
High School:

Description

Come get prime undeveloped real estate right on the Chena River in North pole. Large private lot ready for your dream home with electricity available!

Monthly Payment Calculator

IDX information © 2025 Greater Fairbanks Board of Realtors Multiple Listing Service.IDX information is provided exclusively for consumers' personal, non-commercial use and may not be used for any purpose other than to identify prospective properties consumers may be interested in purchasing. Data is deemed reliable but not guaranteed accurate by the MLS or The Schok Group | Somers Sotheby's International Realty.
www.fairbanksalaskahomesearch.com/homes/165691721
Print Image

Lot 33 Maude Boyle Drive North Pole, AK 99705

  • Price: $95,000
  • Status: Active
  • On Site: Days
  • Updated: 15 min ago
  • MLS #: 158083
0
Beds
0
Baths
0
½ Baths
0.92
Acres
Neighborhood:
The Rivers Edge Estates
Area:
Badger&Rural Np
Elementary School:
Ticasuk Brown
Middle School:
N. Pole Middle
High School:
N. Pole High
Property Description
Come get prime undeveloped real estate right on the Chena River in North pole. Large private lot ready for your dream home with electricity available!
Exterior Features

Land Features CovenantsFire Service AreaRoad Service Area Lot Size Under 1 Acre View River Waterfront RiverWaterfront Access Waterfront YN Yes

Property Features

Address2 The Rivers Edge Estates CCRs YN Yes Flood Zone X 96%Floodway 4% For Sale Or Rent For Sale Land Type OTHER/SEE REMARKS Mobile Home No Multi Family No Possession Recording Reo YN No Short Sale YN No Taxes Unk Terms Cash/Refinance Zoning Rural Residential District Zoning Overlay N/A

Listing provided by WALDEN HOME GROUP: 907-452-3000.
IDX information © 2025 Greater Fairbanks Board of Realtors Multiple Listing Service.IDX information is provided exclusively for consumers' personal, non-commercial use and may not be used for any purpose other than to identify prospective properties consumers may be interested in purchasing. Data is deemed reliable but not guaranteed accurate by the MLS or The Schok Group | Somers Sotheby's International Realty.
 
https://bt-photos.global.ssl.fastly.net/fairbanks/1280_boomver_1_158083-2.jpg https://bt-photos.global.ssl.fastly.net/fairbanks/1280_boomver_1_158083-2.jpg https://bt-photos.global.ssl.fastly.net/fairbanks/1280_boomver_1_158083-2.jpg
Logo
The Schok Group | Somers Sotheby's International Realty
711 Gaffney Rd. Ste 100
Fairbanks AK, 99701